Property Detail

2126 Avenue I

Lancaster CA 93535

$199,000

Status: Active

Property Details

Description

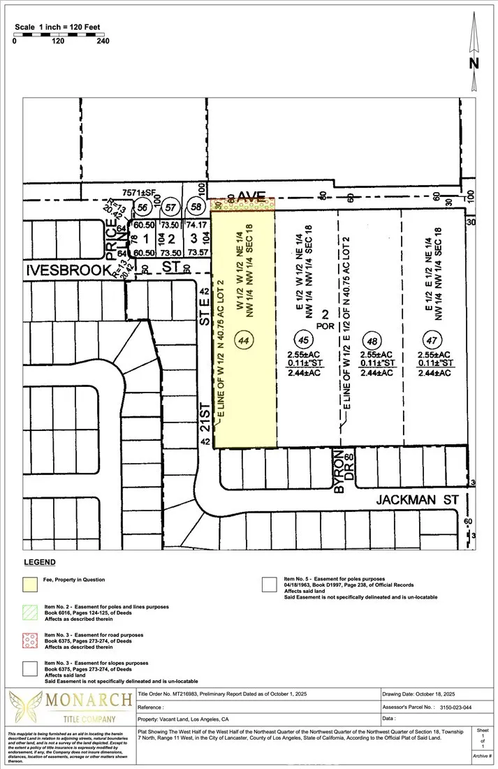
Vacant lot in East Lancaster neighborhood! Surrounded by single family homes and businesses. Public transportation and easy access to utilities available. Land is located across from the E Ave I & 20th St E bus stop, and bordered by E Ivesbrook St, 21st St E and Jackman Street. Frontage is on city street E Avenue I. Single family homes within .5 miles of this lot sold for an average of $485,000 or $245/sf. You can get this land for $1.85/sf. Rectangular lot size is 107,729sf (2.47 acres). Zoning LRD21* Residential - Vacant Land. APN: 3150-023-044

Map Location

Listing provided courtesy of Sammy Lyon of Dow Capital. Last updated . Listing information © 2026 SANDICOR.

john Doe

Mary Afzali

DRE# 02206927
Inquire Now
admin Real estate 9:00 AM - 5:00 PM 9:00 AM - 5:00 PM 9:00 AM - 5:00 PM 9:00 AM - 5:00 PM 9:00 AM - 6:00 PM 9:00 AM - 5:00 PM 9:00 AM - 5:00 PM https://static.royacdn.com/Site-1bceb400-429d-44f8-893a-6dc85e5715bb/Assets/Mary_Afzali_img_forAboutPage.jpg realtor # # # https://static.royacdn.com/Site-1bceb400-429d-44f8-893a-6dc85e5715bb/Assets/Mary_Afzali_img_forAboutPage.jpg