Property Detail

Jesmond Dene

Escondido CA 92026

$200,000

Status: Active

Property Details

Description

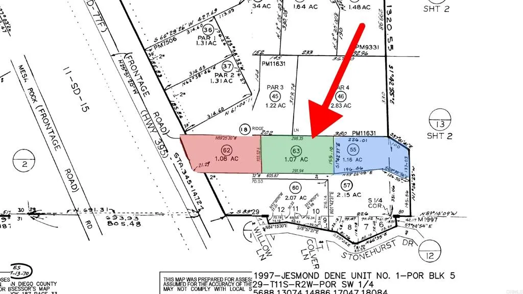
Bring your vision to life on this centrally positioned parcel in scenic Jesmond Dene, where precision meets possibility. Newly surveyed, staked, and officially segregated, this middle parcel is perfectly placed within a private enclave ready for your architect, builder, or investors imagination. Tucked along a shared private access drive, this property strikes the ideal balance between seclusion and connection. Enjoy panoramic mountain vistas, open blue skies, and the tranquil beauty of rural Escondido, all within easy reach of key commuter routes, schools, and modern conveniences. Zoned Rural Residential, the parcel welcomes a range of design opportunities , this property offers a strong foundation for inspired living water and electricity near by.

Map Location

Listing provided courtesy of DeneMarie Sellers of Coldwell Banker Realty. Last updated . Listing information © 2025 SANDICOR.

john Doe

Mary Afzali

DRE# 02206927
Inquire Now
admin Real estate 9:00 AM - 5:00 PM 9:00 AM - 5:00 PM 9:00 AM - 5:00 PM 9:00 AM - 5:00 PM 9:00 AM - 6:00 PM 9:00 AM - 5:00 PM 9:00 AM - 5:00 PM https://static.royacdn.com/Site-1bceb400-429d-44f8-893a-6dc85e5715bb/Assets/Mary_Afzali_img_forAboutPage.jpg realtor # # # https://static.royacdn.com/Site-1bceb400-429d-44f8-893a-6dc85e5715bb/Assets/Mary_Afzali_img_forAboutPage.jpg