Property Detail

Duncan Road

Llano CA 93544

$19,999

Status: Active

Property Details

Description

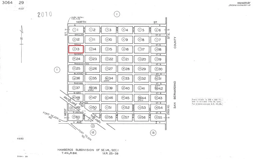
APN: 3064-029-013 Coordinates: 34.460361, -117.667806 1.84 acres for sale in LA County. Located just off pf HWY 138 on Duncan Rd in Llano, CA. Excellent location just off of a major highway connecting the Antelope Valley to San Bernardino. Neighboring parcel is also for sale APN# 3046-029-012.

Map Location

Listing provided courtesy of NYDIA DEL RIO of HOME & LAND SOURCE. Last updated . Listing information © 2026 SANDICOR.

john Doe

Mary Afzali

DRE# 02206927
Inquire Now
admin Real estate 9:00 AM - 5:00 PM 9:00 AM - 5:00 PM 9:00 AM - 5:00 PM 9:00 AM - 5:00 PM 9:00 AM - 6:00 PM 9:00 AM - 5:00 PM 9:00 AM - 5:00 PM https://static.royacdn.com/Site-1bceb400-429d-44f8-893a-6dc85e5715bb/Assets/Mary_Afzali_img_forAboutPage.jpg realtor # # # https://static.royacdn.com/Site-1bceb400-429d-44f8-893a-6dc85e5715bb/Assets/Mary_Afzali_img_forAboutPage.jpg